去下载 APP
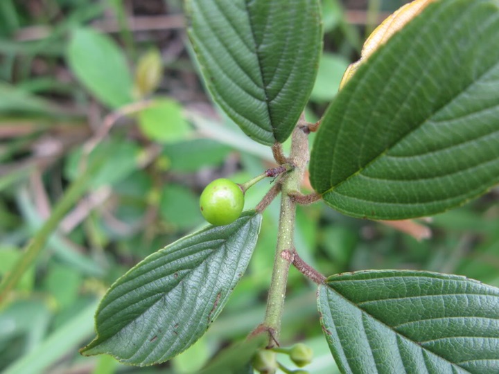
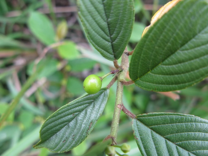
长叶冻绿-一听有毒不敢碰,信手拈来却化黄
长安风情
花圣Lv5   132300
长叶冻绿(学名:Rhamnus crenata),为鼠李科鼠李属下的一个植物变种。花期5-8月,果期8-10月。






























  7年前
栀子花的芬芳╰╮
骚包的卡拉
锦瑟
评论  4
骚包的卡拉
我也是
无厘头的石竹
不吃不会有毒,小时候我经常扯下来玩
郭蓉女
你好
shan~
学习
打开形色,查看全部评论