去下载 APP
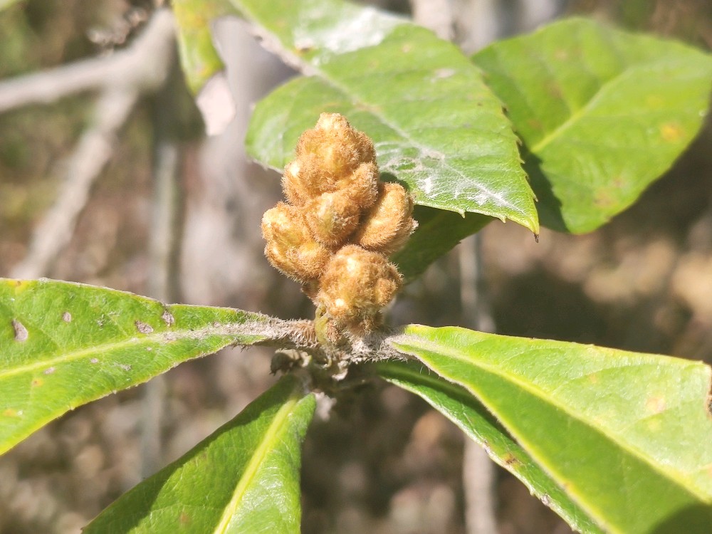
自家种的枇杷
南芳菇凉
花圣Lv5 101649
枇杷,别名:
芦橘
、
金丸
、芦枝,
蔷薇科
、
枇杷属
植物,枇杷原产中国东南部,因叶子形状似
琵琶
乐器而名,其花可入药。枇杷与大部分果树不同,在秋天或初冬开花,果子在春天至初夏成熟,比其它水果都早,因此被称是“果木中独备四时之气者”。
浙江杭州市余杭区的塘栖软条白沙,苏州东山(照种白沙枇杷)苏州西山(青种枇杷)和福建莆田的宝坑解放钟,为中国三大枇杷产地。
6年前
陈海心
==
冥夜星辰北风
腼腆的康兔子
绝尘的天锦章
评论 7
南芳菇凉
回复
@冥夜星辰北风
:直接复制粘贴啊
冥夜星辰北风
你是如何弄到百度百科的?
腼腆的康兔子
回复
@南芳菇凉
:唉~我好想吃啊!
南芳菇凉
回复
@腼腆的康兔子
:这还只是花苞呢!估计立冬前后可以开花~
腼腆的康兔子
好像还没有熟
南芳菇凉
回复
@刘
:我家的第二年就结果了,正常一般3~5年
刘
种枇杷多少年能结果?
打开形色,查看全部评论