去下载 APP
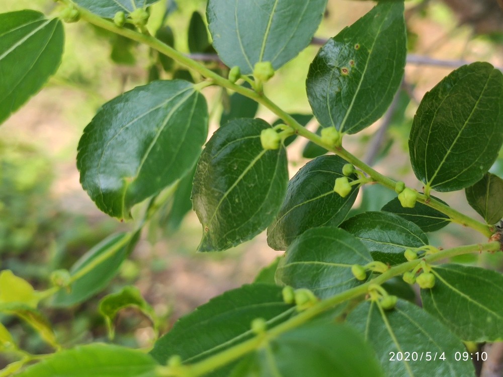
小枣花初绽放
南芳菇凉
花圣Lv5   101649
2020年5月4日 天气晴 气温:23~35℃

还别说,这小小的枣花真是别致又好闻~





















  6年前
Daniel 胡
呆萌的红化妆
评论  0
打开形色,查看全部评论